Beschrijving
Fijne tussenwoning met mooi, groen uitzicht en veel mogelijkheden – De Kommert 44, Heerlen
Gelegen in het geliefde Welten-Benzenrade, biedt deze verrassend ruime tussenwoning een inpandige garage, een eigen oprit én een fijne achtertuin.
De begane grond leent zich uitstekend voor het realiseren van een praktijkruimte (vergunning vereist) of een derde slaapkamer. Op de verdiepingen bevinden zich een lichte woonkamer, een nette keuken, twee comfortabele slaapkamers en een badkamer.
Pluspunten:
* Fijn groen uitzicht vanaf de voorzijde van de woning;
* Inpandige garage + ruime oprit;
* Mogelijkheid voor praktijkruimte (vergunning vereist);
* 2 slaapkamers, mogelijk 3;
* Gezellige achtertuin.
De woning ligt op een centrale locatie op korte afstand van diverse dagelijkse voorzieningen. Binnen enkele minuten ben je in het centrum van Heerlen, bij scholen en het Zuyderland Ziekenhuis. Dankzij de nabijheid van de A76 en A79 ben je ook snel onderweg richting Maastricht, Aken of Eindhoven. Een ideale plek voor wie comfortabel wil wonen met alles binnen handbereik.
Indeling
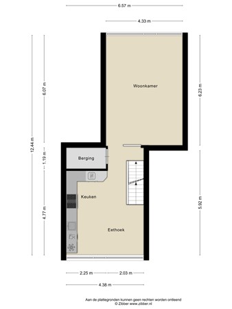
We betreden de woning via de entree, waar zich de meterkast bevindt en toegang is tot de inpandige garage met kantelpoort. De garage is voorzien van een praktische vliering en een wasmachineaansluiting. Vanuit de hal loop je naar het separate toilet met fonteintje, dat nog beschikt over een originele tegelvloer.
Vervolgens kom je in de leefruimte, een lichte en veelzijdige ruimte waar je de mogelijkheid hebt om een praktijk aan huis te realiseren. Hiervoor is wel een vergunning vereist. Eventueel kan hier ook een derde slaapkamer gerealiseerd worden. Via een grote schuifpui is de achtertuin direct bereikbaar. De begane grond is volledig voorzien van plavuizen, inclusief de garage.
Eerste verdieping
We lopen verder naar de trapopgang naar de eerste verdieping. Direct hier vinden we de ruime, open keuken in hoekopstelling, voorzien van een mooie natuurstenen vloer en diverse inbouwapparatuur, waaronder een 6-pits gasfornuis met wokbrander, een combimagnetron, koelkast, vriezer en vaatwasser. Vanuit de keuken is er mooi, groen uitzicht en aansluitend is er een handige berging voor extra opbergruimte.
Vanuit de keuken lopen we door naar de woonkamer, die is voorzien van een lichte laminaatvloer en een oppervlakte van bijna 27 m². Deze fijne ruimte kijkt uit over de tuinzijde en biedt dankzij de prettige lichtinval een warme, uitnodigende sfeer — een perfecte plek om van je huis je (t)huis te maken.
Tweede verdieping
Via de trapopgang komen we op de overloop van de tweede verdieping, die toegang biedt tot twee slaapkamers, de badkamer en een opbergruimte met de opstelling van de cv-ketel.
De eerste slaapkamer bevindt zich aan de voorzijde van de woning, de tweede aan de achterzijde. Beide kamers zijn voorzien van een laminaatvloer en royaal van formaat, met een oppervlakte van circa 12,5 m² en bijna 13 m².
De badkamer is gedateerd en biedt volop mogelijkheden om deze naar eigen smaak te moderniseren. Momenteel is de ruimte voorzien van een wastafel, een tweede toilet en een ligbad met douchefunctie.
Tuin
Via een schuifpui op de begane grond bereik je de gezellige achtertuin, gelegen op het noordwesten. De tuin biedt een prettige combinatie van betegeling en groen, wat zorgt voor een aangename balans tussen comfort en natuurlijke sfeer. Volledig omheind geniet je hier volop van privacy.
Aan de voorzijde bevindt zich een ruime oprit, die in 2018 is vernieuwd en plaats biedt aan twee auto’s. Daarnaast is er parkeergelegenheid voor een derde auto in de inpandige garage.
Bijzonderheden
* Grotendeels kunststof kozijnen met dubbelglas en HR++ beglazing;
* Houten voordeur met enkelglas + garage enkelglas;
* Aanvaarding in overleg.
Tot slot:
* Deze verkoopinformatie is met de nodige zorgvuldigheid samengesteld. Hierbij zijn wij deels afhankelijk van informatie die wij van derden ontvangen. Aan onjuistheden en/of onvolkomenheden kunt u echter geen rechten ontlenen. Indien bepaalde informatie voor u van wezenlijk belang is dan adviseren wij u deze op juistheid te controleren. Onzerzijds wordt geen aansprakelijkheid aanvaardt voor enige onvolledigheid, onjuistheid of anderszins, dan wel de gevolgen daarvan. Alle opgegeven maten en oppervlakten zijn indicatief;
* Koper is te allen tijde gerechtigd om voor eigen rekening een bouwkundig onderzoek te (laten) verrichten, dan wel andere adviseurs te raadplegen teneinde een goed inzicht te verkrijgen in de staat van onderhoud of andere aspecten van de onroerende zaak. Koper dient bij het doen van een bod wel direct aan te geven of hij een dergelijk onderzoek wenst;
* Indien een CV-ketel en/of warmtevoorziening een huurtoestel is, dient koper deze overeenkomst over te nemen.
* De waarborgsom/bankgarantie is 10% van de koopsom. De koper dient deze 1 week na het vervallen van de ontbindende voorwaarden bij de desbetreffende notaris te deponeren;
* Ter bescherming van de belangen van zowel koper als verkoper, wordt uitdrukkelijk gesteld dat een koopovereenkomst met betrekking tot deze onroerende zaak eerst dan tot stand komt, nadat koper en verkoper de koopovereenkomst hebben getekend ("schriftelijkheidsvereiste").