Beschrijving
Leuke, karakteristieke halfvrijstaande woning met ruime tuin, gelegen in het geliefde Amby (Maastricht).
Wat maakt deze woning bijzonder?
* Ruim perceel van circa 385 m²;
* Woonoppervlakte van circa 113 m²;
* Drie slaapkamers;
* Kelder voor extra opslagruimte;
* Fijne achtertuin met voldoende privacy.
Amby is een kindvriendelijke wijk met een dorps karakter, maar met alle voorzieningen binnen handbereik: supermarkten, basisscholen, sportclubs en openbaar vervoer. Het centrum van Maastricht ligt op ca. 10 minuten afstand.
Kortom: comfortabel wonen op een rustige én centrale plek.
Plan gerust een bezichtiging in – je bent van harte welkom!
Indeling
We betreden de woning via de entree, die toegang biedt tot de keuken, woonkamer en de kelder. De entree en de woonkamer zijn voorzien van een grindvloer. De woonkamer is prettig licht en heeft een oppervlakte van circa 27 m².
De keuken is netjes onderhouden en biedt volop mogelijkheden om deze geheel naar eigen smaak te moderniseren. De keuken is voorzien van een tegelvloer. Het keukenblok is voorzien van een inductiekookplaat en afzuigkap.
Aansluitend aan de keuken bevindt zich de bijkeuken/tuinkamer van ruim 10 m², eveneens voorzien van een tegelvloer en een tweede keukenblok. Hier bevinden zich de opstelplaatsen voor de wasmachine, vaatwasser en de CV-ketel. Vanuit deze ruimte is tevens de badkamer bereikbaar, ingericht met een wastafelmeubel, ligbad en toilet. Tevens is hier een extra wasmachineaansluiting aanwezig.
Eerste verdieping
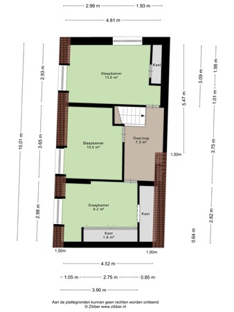
Via de trapopgang bereiken we de overloop op de eerste verdieping. Vanaf hier zijn drie slaapkamers toegankelijk. De eerste slaapkamer heeft een oppervlakte van circa 9 m² en bevindt zich aan de voorzijde van de woning. De tweede slaapkamer heeft zicht op de achtertuin en is ca. 13 m²; beide zijn voorzien van praktische inbouwkasten. De derde slaapkamer heeft een oppervlakte van circa 10 m² en ligt aan de zijkant van de woning.
Overige verdiepingen
De woning beschikt over een kelder (mergel) van circa 7,5 m², ideaal voor extra opslagruimte.
Tuin
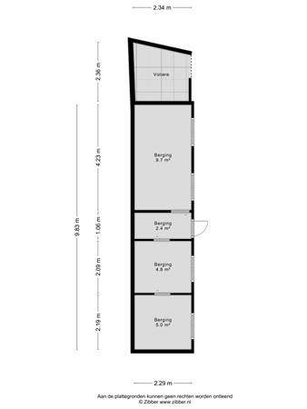
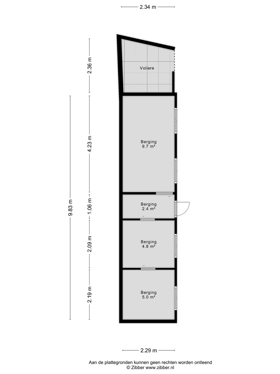
De achtertuin is gelegen op het zuidoosten en bestaat uit een terrasgedeelte en een grasgedeelte. De tuin is ook bereikbaar via een zij-ingang. Er is voldoende bergruimte aanwezig, waaronder een berging van circa 21 m², verdeeld over verschillende ruimtes en voorzien van een volière, en een extra berging van circa 6 m² met overkapping. Met een totaal oppervlakte van ruim. 300 m² is dit een royale tuin met veel mogelijkheden.
Bijzonderheden
* De voorzijde van de woning is bereikbaar via de oprit aan de zijkant van de woning. Hiervoor geldt een recht van overpad.
* Kozijnen deels kunststof en deels hout met dubbelglas;
* platte daken zijn van 2003, het hoofddak in 1995;
* CV- ketel, 2015, eigendom;
* Aanvaarding in overleg.
Tot slot:
* Deze verkoopinformatie is met de nodige zorgvuldigheid samengesteld. Hierbij zijn wij deels afhankelijk van informatie die wij van derden ontvangen. Aan onjuistheden en/of onvolkomenheden kunt u echter geen rechten ontlenen. Indien bepaalde informatie voor u van wezenlijk belang is dan adviseren wij u deze op juistheid te controleren. Onzerzijds wordt geen aansprakelijkheid aanvaardt voor enige onvolledigheid, onjuistheid of anderszins, dan wel de gevolgen daarvan. Alle opgegeven maten en oppervlakten zijn indicatief;
* Koper is te allen tijde gerechtigd om voor eigen rekening een bouwkundig onderzoek te (laten) verrichten, dan wel andere adviseurs te raadplegen teneinde een goed inzicht te verkrijgen in de staat van onderhoud of andere aspecten van de onroerende zaak. Koper dient bij het doen van een bod wel direct aan te geven of hij een dergelijk onderzoek wenst;
* Indien een CV-ketel en/of warmtevoorziening een huurtoestel is, dient koper deze overeenkomst over te nemen.
* De waarborgsom/bankgarantie is 10% van de koopsom. De koper dient deze 1 week na het vervallen van de ontbindende voorwaarden bij de desbetreffende notaris te deponeren;
* Ter bescherming van de belangen van zowel koper als verkoper, wordt uitdrukkelijk gesteld dat een koopovereenkomst met betrekking tot deze onroerende zaak eerst dan tot stand komt, nadat koper en verkoper de koopovereenkomst hebben getekend ("schriftelijkheidsvereiste").